VanderbiltCupRaces.com Exclusive: 1910 Plans for the Ronkonkoma Motor Speedway
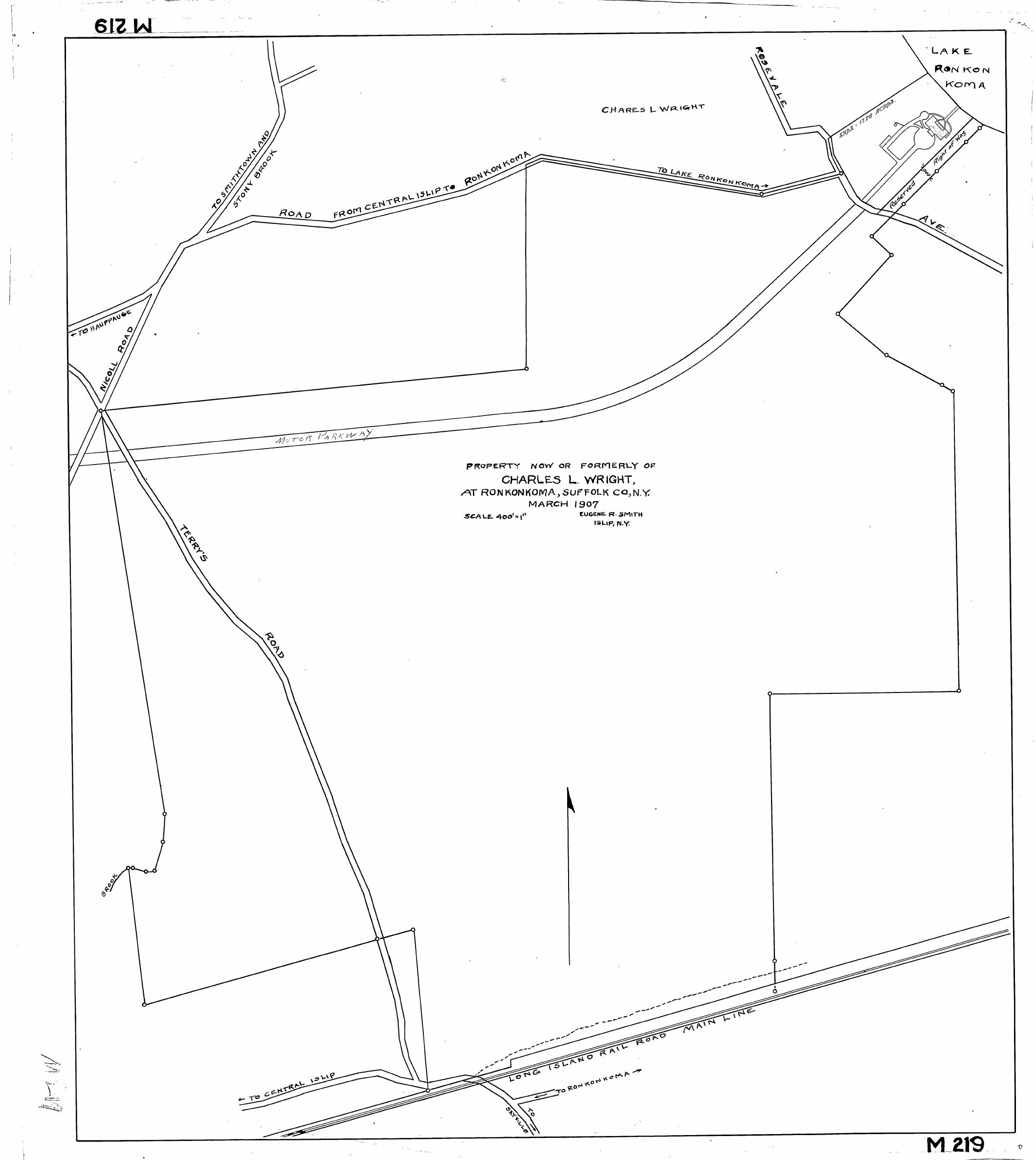
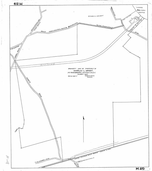
Beginning in November 1906, officials acquired the Motor Parkway right-of way from property owners and farmers from Queens to Riverhead, typically purchasing 1 to 20 acres of land. By far the largest parcel purchased was 891.21 acres in Ronkonkoma from Charles Wright. I always assumed that the Long Island Motor Parkway, Inc. needed to purchase the entire Wright property to connect to Lake Ronkonkoma. However, research indicates that William K. Vanderbilt Jr. had much larger plans for future development in this area. (Reminder: As with all VanderbiltCupRaces.com photos, click on the images to enlarge them.)
The Wright property included the eventual western terminus of the Motor Parkway and the Petit Trianon Inn on Lake Ronkonkoma. Note the southern border was adjacent to the Long Island Railroad.
Following two fatalities and several spectator injuries during the 1910 Vanderbilt Cup Race, it became clear that six years of racing, the sport had outgrown the venue of racing on Long Island roads. However, Motor Parkway officials refused to call it quits. In the December 28, 1910 issue of Horseless Age and the January 1, 1911 issue of The New York Times, A.R. Pardington, Second Vice President of the Parkway, authored an article calling for a "modern motordrome... a speedway like the Indianapolis course". Pardington stated:
Within 50 miles of New York, on line of the Long Island Railroad, and on line of the Long Island Motor Parkway, there should be built a speedway, introducing road conditions over which races for trophies like the Vanderbilt Cup and the Gold Cup of the Automobile Club of America can be run, and on which there can be races for any distance and of any time duration...This speedway would be Mecca of motordom, and the one spot where thousands would go weekly to witness contests of speed and endurance, with the knowledge that they would be rewarded by seeing real automobile racing under real and actual road conditions....To place New York on the automobile racing map as outlined above will cost but $500,000...A speedway near New York is a real need. This is the selling centre of the country. Cars require to be tested and demonstrated. The public demands entertainment and are ready to pay for it. Why, then, should not this need be met, and met promptly?.
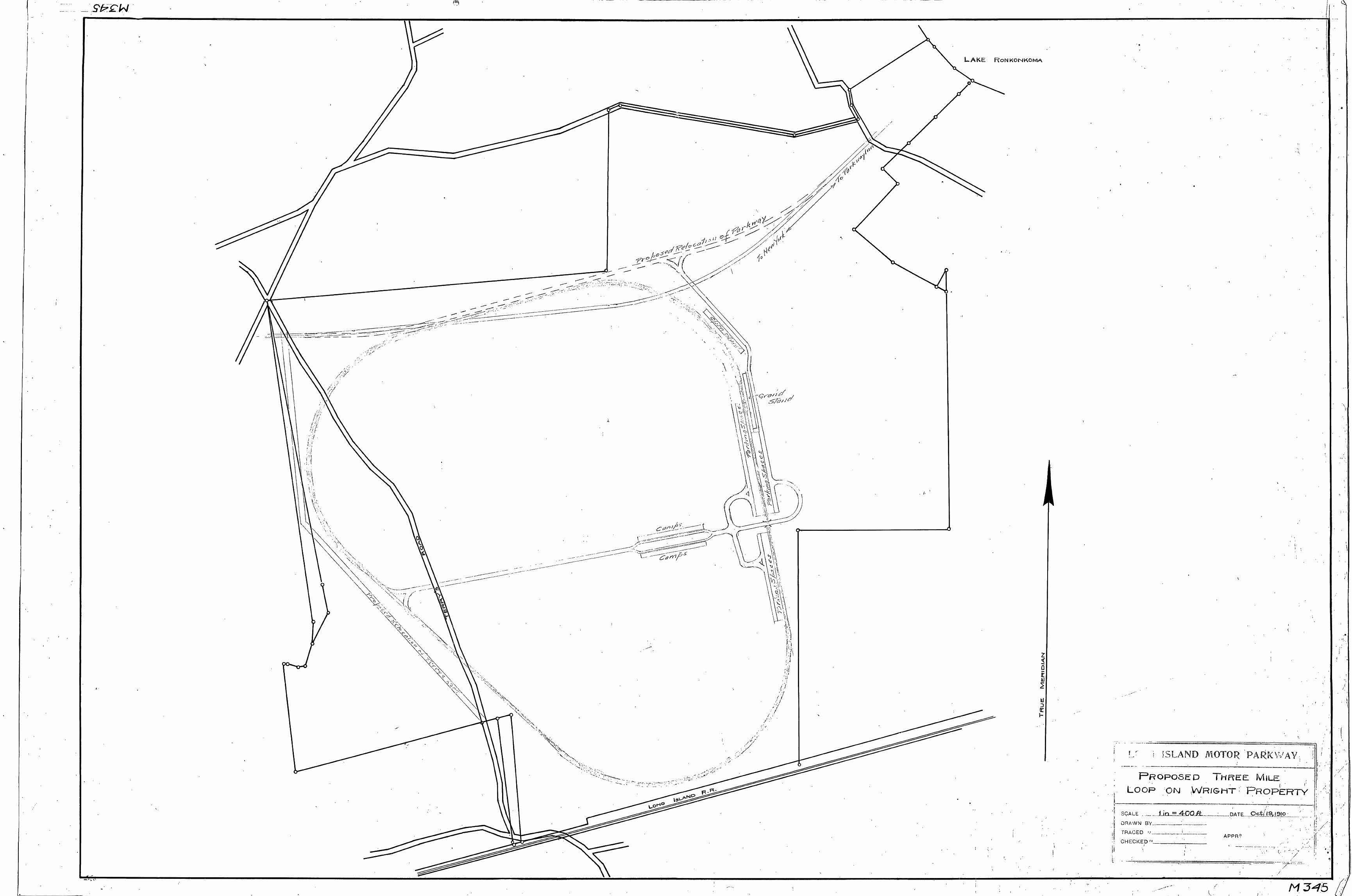
The speedway plans went beyond the Pardington's PR campaign. After the 1910 Vanderbilt Cup Race, designs and cost estimates were developed for 3-mile and 5-mile courses to be built on the 892 acres of the former Wright property. Here for the first time ever are the plans for the two alternative courses. These documents were discovered among the maps in the Motor Parkway survey collection purchased last year. The three-mile loop was a basic oval design crossing the Motor Parkway to the North.
The layout included a grandstand, parking spaces, and camps for the racing teams.
On October 24, 1910, a cost estimate for $258,075.67 was prepared for the "construction of a 3-mile racing loop on Wright property situated at Ronkonkoma". This is equivalent to $5 million today. These estimates were found by Al Velocci in the archives of the Suffolk County Vanderbilt Museum.
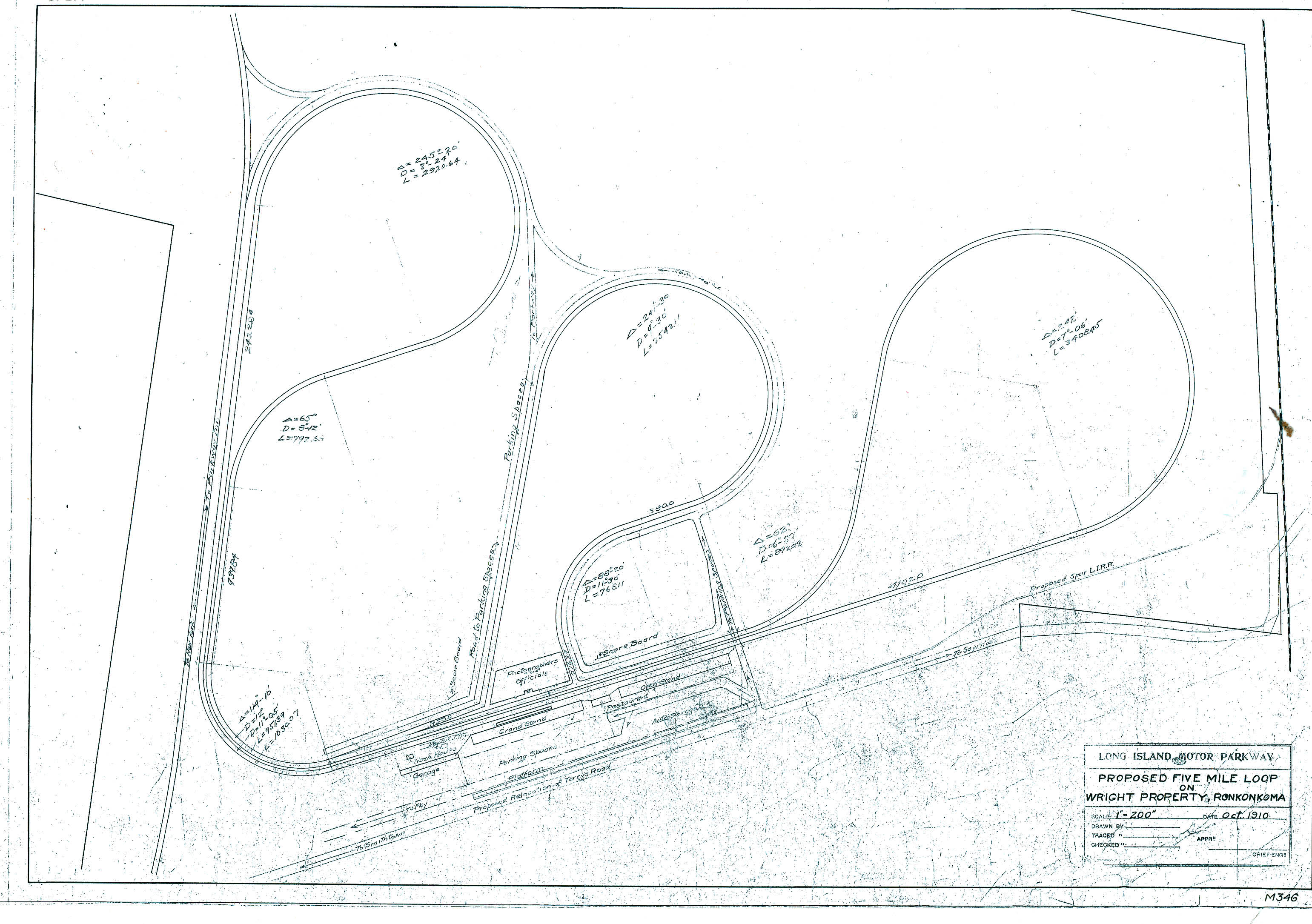
This was the proposed 5-mile loop which was described by Pardington in his article: " I could here and now draft the plans for a speedway, giving a 5 mile road circuit, including right angle turns, a "hairpin" turn, and "S" turn, with grades approximating 8%, perfectly safe for no less than fifty free-for-all cars competing at one time, with a thrill in the grand stand for each ten seconds during an event." The design was very similar to the course for the 1936 Vanderbilt Cup Race held at Roosevelt Raceway.
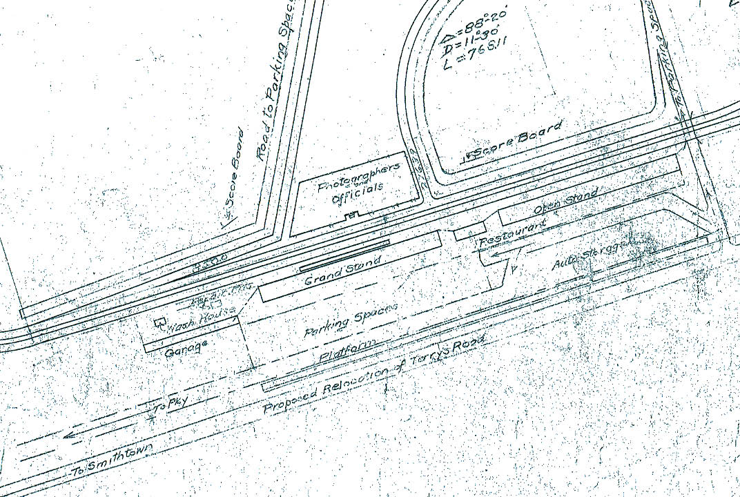
The 5-mile loop included a grandstand, an open stand, a garage, storage area, photographers and officials stand, scoreboard and the need to relocate of a section of Terry's Road.
Total cost for the 5-mile loop was $374,778.56, the equivalent of $7.5 million today.
Both cost estimates called for relocating the Hempstead Plains 5,000-seat grandstand and press box to Ronkonkoma at the cost of $14,000.
For two years, the speedway proposal stalled with little action taken to advance it. However, on February 21, 1913, William K. Vanderbilt Jr. wrote this letter to Alfred J. Kienzle, assistant treasurer of the Motor Parkway, stating; " It looks now as if the motordrome proposition might go through....". The proposal did not go through and Long Island missed an opportunity to rival the Indianapolis Speedway with its own "Ronkonkoma Motor Speedway".

Comments
Long Island in recent years missed an opportunity to bring back motorsports at the EPCAL site in Calverton, opting for a less popular theme park with a ski mountain. It seems our rich motorsports history is being kept just that by our politicians, History. There is much history laying in fields and yards rusting away because of no place to house it.
Terrence:
I totally agree!
Howard
You can also thank the anti-car lobby for some of this stuff too.