The Long Island Rail Road and the Vanderbilt Cup Races
Up to 250,00 people attended the Vanderbilt Cup Races, when the population of Nassau County was less than 75,000 and cars were owned only by the wealthy. Accordingly, the vast majority of the spectators came from New York City and Brooklyn and used the Long Island Rail Road to travel to and from the races.
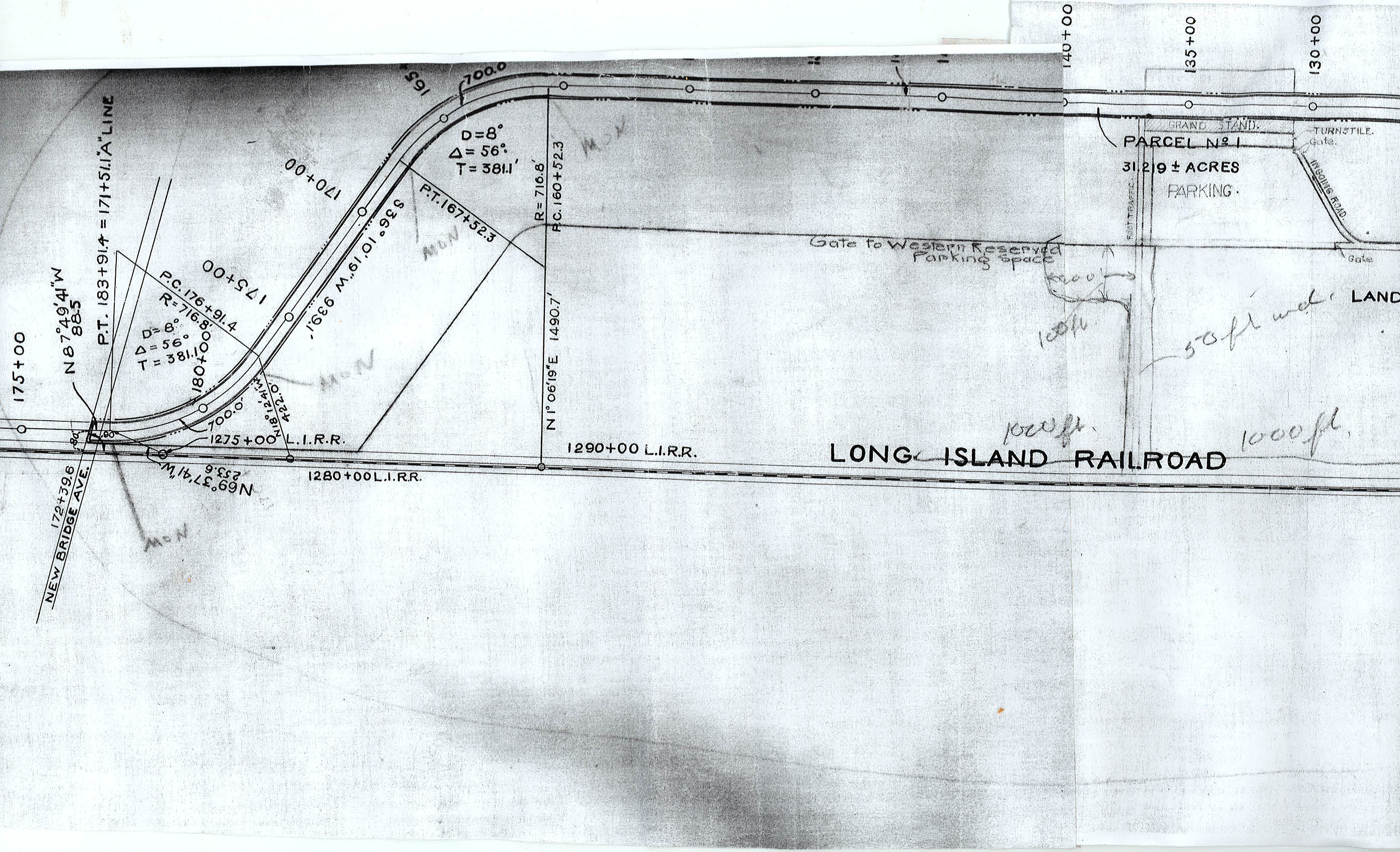
As shown in this blueprint of the 1908 course, a special makeshift train stop was created in the Hempstead Plains, approximately one quarter of a mile from the grandstand. Note: The 50-foot wide temporary walking path from the train stop to the stands.
Beginning at midnight before the 1908 race, special hourly trains would bring the crowd to the Hempstead Plains train stop. Note: The woman on the left carrying a Vanderbilt Cup Race pennant.
At the first Deadman's Curve in Central Park, now Bethpage, a Long Island Rail Road train was stopped and used as a viewing stand.
An outdoor viewing platform used for the 1908 Vanderbilt Cup Race.
This ad and brochure promoted "special trains" for the 1909 Vanderbilt Cup Race: The special excursion fare was $1.25, equivalent to $30 today.
Special trains will leave (34th Street) New York and Flatbush Avenue (Brooklyn) at frequent intervals between 4.30 and 8.00 A.M. for Hicksville, stopping at Westbury.
Returning. Special trains will leave the Grand Stand and Hicksville, stopping at Westbury, for New York and Brooklyn immediately after the race.
A huge crowd in Westbury tried to catch a train to go home after the 1910 Vanderbilt Cup Race.
Links to related posts on VanderbiltCupRaces.com:
Index: Long Island Motor Parkway- Bethpage

Comments
Great stuff - Living so close to the grandstand I need to go back and further explore the LIRR right of way (now a LIPA r.o.w.)where the temporary station might have been as shown on the blueprint. Howard - what do the numbers on the blueprint refer to - 1275+00, 1280+00, etc. - are these some type of distance measurements still usable?