Kleiner’s Korner: Mineola and the Motor Parkway, 1908
Mineola has often been mentioned in vanderbiltcupraces.com as significant to the development of the Motor Parkway and the Vanderbilt Cup Races. In this 1908 publication published by D. C. McKay & Son, both are used to promote the village of Mineola.
Art Kleiner
The Motor Parkway
Mineola and the Motor Parkway in 1910.
Land for the Motor Parkway in Mineola was acquired in 1907 and included farm parcels between the LIRR and Jericho Turnpike. (The Long Island Farmer Nov. 29, 1907)
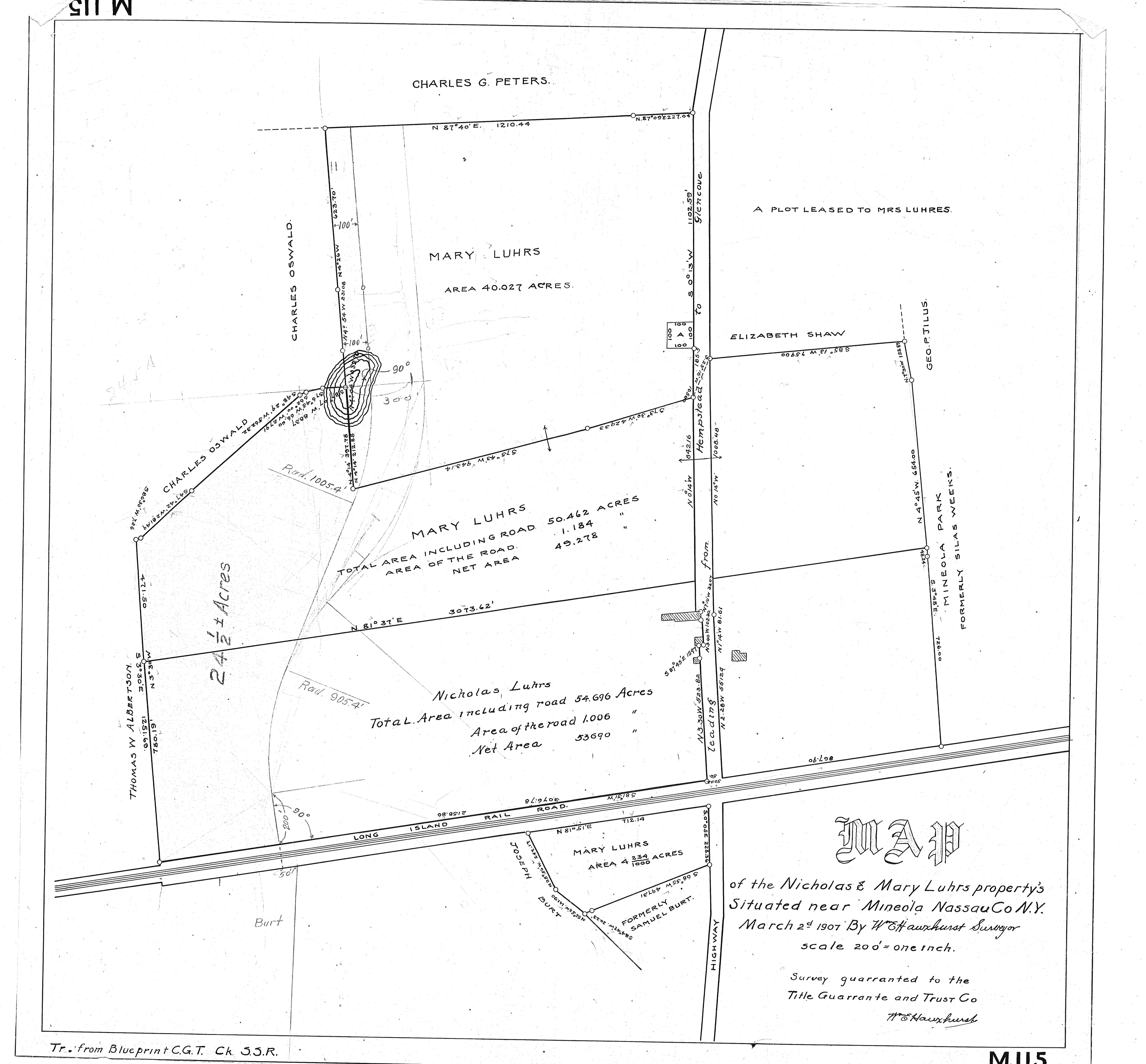
This survey from 1907 shows the Luhrs and Peters farms mentioned above which eventually were used by the Motor Parkway. More surveys of the area were shown in this Feb. 9, 2021 post.
The entrance to the Motor Parkway was to be off of Jericho Turnpike with additional structures envisioned. (Nassau County Review Dec. 6, 1907)
Can anyone suggest a reason for the loop off of the Motor Parkway shown between the trolley line and the LIRR Main Line?
Real Estate surrounding the Motor Parkway was being promoted.
Garden City was given a page.
The Vanderbilt Cup Race
Note the dotted entrance line to the Motor Parkway.
All said and done #19 on the list of Mineola's advantantages was "it is the terminus of the great (bold added) Motor Parkway".

Comments
Great post Art. Nice to see this Mineola book posted.
Looks like the area by the dotted line loop off the LIMP was never sold for private homes and is possibly a rainwater collection sump.
Since the Nassau County Review article of 12/6/1907 mentions “other buildings and garage”, maybe this could have been the place for a possible automobile service station.
Wow, great finds Art. These pics were buried deep and inaccessible to most, including myself. Thank you for sharing these gems.
I’m imagining that the loop may have been an informal area for LIMP travelers to park then take the trolley northward, being that the LIMP terminated at Jericho Tpke. They of course would have to return for their vehicles and pay the LIMP toll.
Brian, Another possible reason for the loop is that the Parkway had sites off the roadway designated as picnic areas, never been able to pin point exactly were they located, At times the night shift Parkway police on motorcycles referred to the areas as “lovers lanes”
Sounds good Al.
Just realized the panoramic map is viewed south. LIMP didn’t extend here yet. At the bottom is Westbury Ave, known as IU Willets Rd today.
I can definitely see the loop as a lover’s lane/rest stop; even today (113 years later) remains a secluded area. Don’t know if the loop ever came to fruition but as Greg noted, it’s now a water sump.
Just as an aside pertaining to a so called “Lovers Lane”, a number of years ago while exploring Dead Man’s Curve in Bethpage on an early June Sunday morning, I came across a parked car on the Motor Parkway roadway, just north of the curve. Approaching cautiously I saw from a distance two young adults (I believe a male and a female) sleeping in I believe the back seat in party attire. Not venturing any further I turned around so as not to be accused of being a peeping Tom (or Art). I realized afterwards it was prom season and that that Lovers Lane might have been the end of a couple’s night out. But I remember most proms ended with a night at the beach, not the Motor Parkway! Have a nice day!
Funny story Art. Perhaps this location was suggested by his ancestors that traveled the LIMP ( :
Art !!!! ... You are not going to believe this coincidence. I happened on the same scene just a little bit later, The young man was relieving himself a short distance from his automobile, I asked him if he knew he was on the Motor Parkway, his answer… NO WONDER ! he thought he was on either the Meadowbrook or Wantagh Parkway, trying to get to Jones Beach the night before.
Assisting in the development of Long Island in the early 1900s, newspapers often promoted its town and villages. Here’s one from the June 17, 1911 edition of the Brooklyn Times Union that promoted Mineola and mentioned the offices of the Motor Parkway.